State incentives and site readiness were deciding factors in location decision
Содержание:
Eli Lilly and Co. announced plans to invest $5 billion in Goochland County, Va., to build a manufacturing plant for active pharmaceutical ingredients and finished drugs, supporting its expanding portfolio of antibody-drug conjugates and other bioconjugate therapies.
The facility, to be located in the West Creek Business Park, about 20 miles west of Richmond, will be its first fully integrated site for antibody-drug conjugate production and the first of four new U.S. manufacturing sites the company plans to announce this year.
Executives said the project is expected to create more than 650 permanent positions in advanced manufacturing and science, along with 1,800 construction jobs. Completion is targeted within five years, with site preparation and permitting already underway.
Virginia officials said the project, announced Sept. 16, will be backed by up to $130 million in state appropriations through the Major Employment and Investment Project Approval Commission, pending approval by the General Assembly.
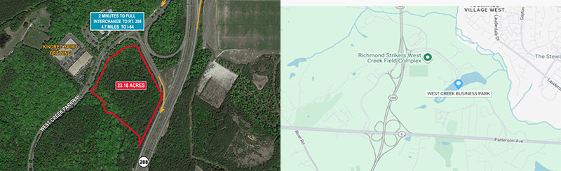
Site maps show the West Creek Business Park in Goochland County, Va., where Lilly plans to build its $5-billion facility. The business park sits along Route 288, with direct access to Interstates 64 and 95, about 20 miles west of downtown Richmond. Images courtesy of Goochland County Economic Development
* * *
“Virginia offers a talented workforce and the infrastructure needed to support this new kind of manufacturing,” said Edgardo Hernandez, executive vice president and president of Lilly Manufacturing, in a statement. He added that the plant will help the company “accelerate production of next-generation medicines for patients with cancer and autoimmune diseases.”
Gov. Glenn Youngkin called it “a generational investment in Virginia’s biotech economy” that would expand advanced manufacturing capacity and elevate Goochland County on the global map. Tom Winfree, chairman of the county’s board of supervisors, said “The West Creek Business Park has long been recognized as one of the premier business destinations in our region.» Utility providers are preparing for the scale of the project, with Dominion Energy Virginia and Columbia Gas of Virginia moving forward with extensions of services to the parcel.
State officials noted that Lilly’s public commitment nearly doubled the investment and job figures originally proposed, underscoring the competitive environment among states for such projects. They pointed to Virginia’s incentive framework, site-readiness programs and workforce training initiatives as decisive factors.
Complex Manufacturing Demands
Antibody-drug conjugates are among the most challenging biologics to manufacture, requiring high-containment systems for cytotoxic materials and precision conjugation processes.
Learn More:
Va. Dept of Transportation | West Creek Area Transportation Access Plan
Lilly said the Goochland facility will employ advanced automation, machine learning and digital systems to ensure “right-first-time” execution. Construction will combine cleanroom and containment design with modular production suites adaptable as the pipeline grows, it noted.
The company has not named design or contracting partners; however, the scale of the investment suggests multiple engineering, procurement and construction management packages.
Engineering demands extend beyond the buildings. According to Timmons Group, a civil engineering firm, development plans for West Creek call for approximately 15,000 ft of sewer extension, 12,000 ft of waterline and 10,000 ft of new internal road construction.
Dominion previously certified a 119-acre parcel in the park for power and fiber readiness, citing favorable geology and utility access—conditions that helped secure the project. The park’s gently rolling topography reduces grading needs, while four interchanges on Route 288 connect directly to Interstates 64 and 95, Richmond International Airport and the Port of Richmond.
Aerial view of Capital One’s West Creek campus in Goochland County, Va., which has incorporated low-impact stormwater design, including timber weir walls built from on-site timber to preserve surrounding woodlands—a precedent for future development in the business park. The area also has precedent for low-impact stormwater design, such as timber weir walls installed at the neighboring Capital One campus to preserve surrounding woodlands. Image courtesy of VHB
Federal leaders also weighed in. Sen. Tim Kaine, D-Va., said the project “is a testament to Virginia’s strong workforce and education system,” adding that he will continue advocating policies to “boost domestic manufacturing of lifesaving medicines, strengthen our supply chains and grow our economy.”
The Goochland facility is part of more than $18 billion Lilly has committed to new manufacturing since 2020, including projects in North Carolina, Indiana and Ireland.
The company told investors this month it is expanding capacity to meet rising demand for oncology and immunology treatments as well as GLP-1 drugs for diabetes and weight management. Reuters reported that the investment also reflects trade tensions that could subject imported pharmaceuticals to tariffs, accelerating domestic production among U.S. drugmakers.
Work is expected to begin immediately with site clearing, foundation work and utility extensions. State officials stated that the facility, one of the largest private capital investments in state history, will be delivered in phases, with commissioning and validation expected to extend into the early 2030s.




